БРАНОВИ ОД 12 МЕТРИ И СИЛНИ ВЕТРОВИ: посттропската бура „Ерин“ носи хаос во Европа
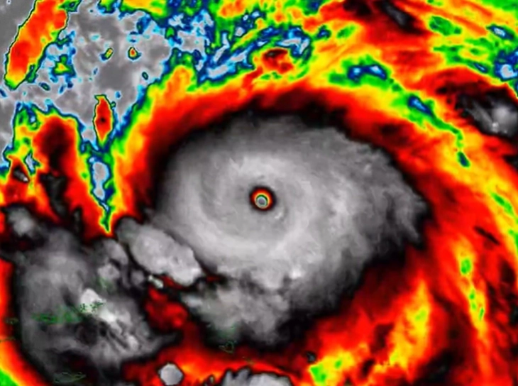
Остатоците од ураганот „Ерин“, кој претходно достигна сила од петта категорија, во наредните денови ќе го зафатат западниот дел на Европа, вклучително и Велика Британија и Ирска. Иако повеќе не е ураган туку посттропски циклон, Ерин сè уште предизвикува сериозна загриженост, преду...